Baugrundstück unmittelbar an der Berliner Stadtgrenze
Beschreibung:
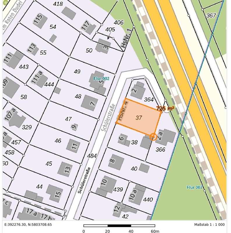
Das hier angebotene Grundstück liegt in einer Stichstraße im Mahlower Wohngebiet "Roter Dudel", das unmittelbar an die südliche Berliner Stadgrenze, den Berliner Ortsteil Lichtenrade grenzt.Das Grundstück ist unbebaut und hat diversen Aufwuchs. Es ist zu drei Seiten hin eingefriedet.
Gemäß Auskunft des Bauamtes Blankenfelde-Mahlow gilt bei einer Neubebauung der § 34 BauGB, die Ortsüblichkeit, entsprechend der unmittelbaren Nachbarschaftsbebauung.
Damit ist der Bau einer Stadtvilla, eines 1,5 geschossigen Einfamilienhauses oder auch eines Bungalows denkbar. Das Grundstück kann mit einem Baukörper bebaut werden, wobei die Baulinie ca. 6 m entfernt von der Grundstücksgrenze zur Schülerstraße verlaufen würde.
Detaillierte Informationen, eventuell zu einem bereits geplanten, speziellen Hausbautyp, sind bitte beim Bauamt der Gemeinde Blankenfelde/Mahlow einzuholen.
Das Grundstück liegt in einer gewachsenen Siedlungslage. Alle Medien liegen in der Straße an.
Auf dem Grundstück lasten keine Wege-, Fahr- oder Leitungsrechte.
Der Rote Dudel liegt nah dem Tag-und Nachtschutzbereich des BER. Die dort aktive Messstelle 027 gibt Auskunft über die Lärmbelästigung. Siehe : https://corporate.berlin-airport.de/de/nachhaltigkeit/umwelt/fluglaerm/flugrouten.html
Haben wir Ihr Interesse geweckt?
Dann vereinbaren wir gern mit Ihnen einen Besichtigungstermin.
Bei Kaufinteresse beraten und unterstützen wir Sie gern bei allen weiteren Grundstückskaufangelegenheiten.
Lagebeschreibung:
Die Gemeinde Blankenfelde-Mahlow liegt im Landkreis Teltow-Fläming und befindet sich ca. 20 km südlich des Stadtzentrums der deutschen Bundeshauptstadt Berlin. Blankenfelde-Mahlow zählt rd. 30.000 Einwohner und ist als Wohnstandort vor den "Toren Berlins" sehr beliebt.In der Gemeinde selbst sind alle Einrichtungen des täglichen Bedarfs vorhanden. So sind Kindertagesstätten, Grundschulen und weiterführende Schulen, diverse Verbrauchermärkte, Ärzte , Apotheken, Restaurants, Senioreneinrichtungen etc. vorhanden. Das Angebot erweitert sich maßgeblich durch die unmittelbare Nähe zu Berlin-Lichtenrade.
Blankenfelde-Mahlow ist über die Bundesstraßen B96a, B96 und B101 sowie über die Autobahn A10 an das Individualverkehrsnetz angeschlossen. Die vom Objektstandort ausgehend nächstgelegene Auffahrt zur vorgenannten Autobahn liegt rd. 10 km südöstlich (Straßenentfernung) bei der Anschlussstelle 'Rangsdorf'. Die Bushaltestelle 'Mahlow Hans-Thoma-Straße' befindet sich in der unmittelbaren Umgebung der Liegenschaft und bietet über die hier verkehrenden Busse u.a. weiterführende Verbindungen zu den umliegenden Ortschaften. Zwar verfügt Blankenfelde-Mahlow auch über einen ortseigenen Personenbahnhof, jedoch erfolgt die günstigere Anbindung an den Schienenverkehr bereits über die in Berlin gelegene S-Bahnstation 'Lichtenrade' mit Anschluss an das S-Bahnnetz von Berlin (Linie: S2). Die Distanz zu den nächstgelegenen überregionalen
Verkehrsknotenpunkten des öffentlichen Personenverkehrs beträgt sowohl zum IC(E)-Bahnhof 'Flughafen BER' als auch zum internationalen Verkehrsflughafen 'Berlin Brandenburg' jeweils ca. 7,9 km.
Ausstattung:
Energieausweis:
- Energieausweis:
- es besteht keine Pflicht!
Ausstattungsbeschreibung:
- Grundstücksbreite: ca. 22 m- Grundstückstiefe: ca. 33 m
Sonstige Angaben:
Die in diesem Exposé gemachten Angaben beruhen auf Auskünften des Eigentümers oder vorgelegten Plänen und Berechnungen. Wir übernehmen daher keine Haftung, für die hier gemachten Angaben, insbesondere für Flächenangaben, Grundrisse oder Lageskizzen.Sie wollen mehr erfahren?
Wenn Sie uns eine Nachricht über das Kontaktformular senden, melden wir uns schnellstmöglich bei Ihnen: